アリ環礁(モルジブ・ランガリ)
MADIVARU (MANTA POINT)


1 2 3


手前:アカモンガラ
奥:ナポレオン
遠くに大きい魚が見えたので,とりあえず写真撮りました。
あとから見たら,ナポレオンでした。びっくり。




ナポレオン
違う個体だと思うのですが,
これまたナポレオンとは気づかずに写真撮ってました。




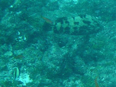
マダラハタ
だいぶ遠くから撮ったので,イマイチの写真ですね・・・




写真撮る人
写真を撮り終えた直後のようです。




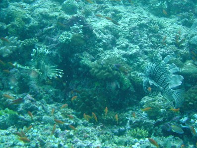
ハナミノカサゴ
キンギョハナダイに囲まれているミノカサゴを発見しました。
実は2匹映っています。




ハナミノカサゴ
ほら,2匹いるでしょ!




ハナミノカサゴ
これは別の個体です。




ハナミノカサゴ
おもいきって(?),少しだけ近づいてみました。




テングハギモドキ
適当に撮りました。これといったコメントはありません。




アカモンガラ
アカモンガラは,どこにでも大量にいますね。




1 2 3

Dive No. : 27 / Date : 2005.12.5 / Diving Shop : SUB AQUA
Dive Time : 46min / Depth of Water : max21.0m, ave13.4m / Pressure : start210, end80
Water Temp : 27C / Vsibility : 15-20m

Camera : SONY DSC-P1


Div.記録に戻ります