パラオ(ロック・アイランド)
ウーロン・チャネル
1 2


ヒトスジエソ
ブイ下集合時,違和感を感じ,寄ってみました。
結構怖い顔なのに,ペアで仲がいいみたいですね。
パンパンに実が詰まってる感じでしたよ。




ヒトスジエソ 
横から撮ったら赤く写りました。
深度5m位だと思うけど,光って届かないものですねぇ
エソを見るのは初めてなので,ちょっと嬉しかったです。




ハナタカサゴの群れ 
逆光で細かいことは分かりませんが,
拡大したら,尻鰭の両端に黒いポチポチがありました。
たぶんハナタカサゴです。




チョウチョウコショウダイ
濃いですな(汗)
奥でカメラ目線の子は,ツマグロマツカサです。




ネムリブカ
水路の中でサメ発見。
ガイドさんはグレイリーフシャークだっていってましたが,
これは,ホワイトチップですな。
それとも,グレイリーフシャークが別にいたのか?




ロクセンヤッコ
ヒマだったので撮りました。
フラッシュたいたつもりだったんだけど・・・
水路の中は妙に濁ってたので,そのせい?




ブラックフィンバラクーダの群れ
大きな群れではありません。これで全部くらい。
水路の中で,しばらく併走してました。




インドオキアジの群れ
こちらも水路の中で。
にごにごなので,こんなもんですかな・・・




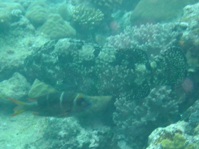
アカマダラハタ,ヨコシマクロダイ
赤っぽいお魚が,ヨコシマクロダイです。
実はその真上がアカマダラハタです。岩ではありません(汗)




1 2

Dive No. : 46 / Date : 2007.5.4 / Diving Shop : ANTELOPE
Dive Time : 44min / Depth of Water : max18.3m, ave10.6m / Pressure : start190, end90
Water Temp : 28C / Vsibility : 10-15m

Camera : SONY DSC-P1


Div.記録に戻ります