パラオ(ロック・アイランド)
ウーロン・チャネル
1 2


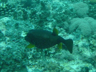
コクテンフグ
またまたコクテンフグ発見! この子は,ちょっと小さめです。




コクテンフグ
真横から。フラッシュたき忘れたか?




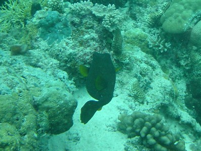
ミナミハコフグ(メス)
離れたところに,ミナミハコフグのメスらしきお魚を発見!
一度は撮影を諦めたんですが,
ガイドさんを見たら行けそうだったので,猛ダッシュ!




ミナミハコフグ(メス)
なんか全然光届いてないです・・・ 不思議。




ミナミハコフグ(メス)
ミナミハコフグは,幼魚が可愛すぎるので,
成魚の写真ってあまり見かけません。
あっても派手なオスばかりで,地味なメスは・・・




シマキンチャクフグ 
ペアで仲良く泳いでました。
カワハギ科かフグ科か・・・ 分からないまま撮影しました。
結果は,フグ科のシマキンチャクフグでした。
この子はカメラに興味があるのか,せっせと寄ってきました。
ピント合わないから寄ってこないで(汗)




シマキンチャクフグ?
もう1匹は,カメラを向けると逃げようとしました。
だいぶ性格は違うよう・・・ ん?
この子,ノコギリハギじゃない!?
もしかして,種族を越えたペアですか? う〜む。わからん。




クロユリハゼ
一応ペア。少し淡い色に写りました。なんでだろ?
この写真が,今回のダイビングで最後に撮った1枚です。
また潜ってみたい海でした。




1 2

Dive No. : 46 / Date : 2007.5.4 / Diving Shop : ANTELOPE
Dive Time : 44min / Depth of Water : max18.3m, ave10.6m / Pressure : start190, end90
Water Temp : 28C / Vsibility : 10-15m

Camera : SONY DSC-P1


Div.記録に戻ります